Accueil B.Mol Gen T.P Web
Pour voir tous les arbres de la collection

cliquez sur : SOMMAIRE
Voir tous les
CHÊNES
Arbres et Arbustes

Chêne sessile (Quercus petraea ou Q. sessiliflora, Fagacées)


Le Chêne sessile (Quercus petraea (Mattus.) Liebl. ou anciennement Q. sessiliflora Salisb. de la famille des Fagacées) est également appelé "Chêne rouvre" bien que cette appellation le fasse confondre parfois avec le Chêne pédonculé. Il se distingue de ce dernier par son port beaucoup plus élancé (tronc droit et bien vertical). Cependant, ces deux espèces s'hybrident facilement et il est parfois difficile de les différencier.

Le port et le feuillage

Futaie plantée de Chêne rouvre (dans un parc).
Feuillage et glands de Chêne sessile.

 

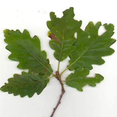
Feuilles pétiolées de Chêne sessile
Gland sessile de chëne sessile
Feuilles pétiolées de Chêne sessile.
Gland sessile de Chêne sessile.

Les fruits

Le critère essentiel concerne le fruit: les glands ont un pédoncule très court (d'où le nom de "sessile").

Remarquons que les feuilles ont un long pétiole, ce qui provoque des confusions avec le Chêne pédonculé.

 

Roger Prat et Jean-Pierre Rubinstein
commentaires
Pour nous contacter, cliquez ici ------>
contact

Dernière modification :10 octobre2016
Tous droits réservés - Biologie et Multimédia - Université Pierre et Marie Curie - UFR des Sciences de la Vie

 

 

Chêne sessile
Accueil B.Mol Gen T.P Web
Pour voir tous les arbres de la collection

cliquez sur SOMMAIRE
Voir tous les
CHÊNES
Arbres et Arbustes

Chêne sessile (Quercus petraea ou Q. sessiliflora, Fagacées)


Le Chêne sessile (Quercus petraea (Mattus.) Liebl. ou anciennement Q. sessiliflora Salisb. de la famille des Fagacées) est également appelé "Chêne rouvre" bien que cette appellation le fasse confondre parfois avec le Chêne pédonculé. Il se distingue de ce dernier par son port beaucoup plus élancé (tronc droit et bien vertical). Cependant, ces deux espèces s'hybrident facilement et il est parfois difficile de les différencier.

Le port et le feuillage

Futaie plantée de Chêne rouvre (dans un parc).
Feuillage et glands de Chêne sessile.

 

Feuilles pétiolées de Chêne sessile
Gland sessile de chëne sessile
Feuilles pétiolées de Chêne sessile.
Gland sessile de Chêne sessile.

Les fruits

Le critère essentiel concerne le fruit: les glands ont un pédoncule très court (d'où le nom de "sessile").

Remarquons que les feuilles ont un long pétiole, ce qui provoque des confusions avec le Chêne pédonculé.

 

Roger Prat et Jean-Pierre Rubinstein
commentaires
Pour nous contacter, cliquez ici ------>
contact

Dernière modification :10 octobre2016
Tous droits réservés - Biologie et Multimédia - Sorbonne Université - UFR des Sciences de la Vie