Accueil B.Mol Gen Web
LA STRUCTURE DU CHLOROPLASTE 
Localisation des complexes protéiques par immunocytochimie
 
1 - Localisation des photosystèmesI et II dans les chloroplastes d'épinard
Les analyses par fractionnement montrent que les systèmes membranaires des thylacoïdes contiennent quatre complexes principaux de protéines : photosystème I (PSI),photosystème II (PSII), complexe cytochrome b6f et ATP-synthase.
Les complexes PSI et PSII représentent les photosystèmes et contiennent les pigments assimilateurs, le complexe cytochromes b6f est spécialisé dans le transfert des électrons. Les ATP-synthases permettent la synthèse d'ATP, elles sont localisées sur le bord des thylacoïdes granaires et sur les thylacoïdes intergranaires comme on le voit en contraste négatif.
La localisation des complexes PSI, PSII et cytochromes a pu être précisée par immunocytochimie.
 
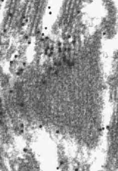
A partir du fractionnement du chloroplaste, les protéines sont extraites des membranes et séparées. Des fractions purifiées de certains constituants protéiques des photosystèmes sont obtenues. Elles sont injectées à des lapins et les anticorps obtenus (anti-protéine de PSI et anti-protéine de PSII) sont marqués par des billes d'or opaques aux électrons. Des sections ultrafines de chloroplastes d'épinard sont traitées par ces anticorps marqués.
Marquage par des anticorps anti PSI.
Marquage par des anticorps anti PSII
Marquage par des anticorps anti PSI.
(Cliché : Jacqueline Olive).
Marquage par des anticorps anti PSII.
(Cliché : Jacqueline Olive).

On constate que le complexe PSI est localisé presque essentiellement dans les zones non accolées des thylacoïdes (thylacoïdes intergranaires et pourtour des thylacoïdes granaires). Le complexe PSII est localisé essentiellement dans les zones accolées des grana.

2 - Localisation des antennes (LH) dans un chloroplaste de Giraudyopsis (Chromophytes, Chrysophycées)

Des anticorps dirigés contre des molécules protéiques des antennes LH de Giraudyopsis sont marqués par des billes d'or de 10 nm. ces anticorps sont utilisés sur des sections ultrafines de Giraudyopsis

Vue générale d'une cellule de Giraudyopsis
Vue générale d'une cellule de Giraudyopsis. Les grains d'or sont répartis uniformément dans l'ensemble du chloroplaste. (Cliché : Christiane Lichtlé)
Détail d'une portion de chloroplaste.
Détail d'une portion de chloroplaste. Les grains d'or sont localisés uniformément au niveau des thylacoïdes. (Cliché : Christiane Lichtlé)

Pour connaître : la structure cellulaire de Giraudyopsis.

Pour approfondir : les techniques d'étude, la structure des chloroplastes des algues, des plantes supérieures et leur différenciation.



 Roger Prat et Véronique Vonarx
Crédits photographiques : Jacqueline Olive,
Crédits photographiques : Christiane Lichtlé, laboratoire "Organismes photosynthétiques et environnement", ENS.
 
Pour nous contacter :

contact mail


Tous droits réservés - Biologie et Multimédia - Sorbonne Université - UFR des Sciences de la Vie